Reset
More options

Property Description

Welcome to West Park’s newest development….Lakeside!!! This development is situated close to shopping and dining. You can access the walking path along the lake and build your own home! Don’t miss out on an amazing opportunity in 2026.

Features
: Shopping Nearby
Address Map
Alberta
Camrose
Camrose
T4V 2P7
70 Street
4413
0
W113° 8' 18.9''
N53° 0' 44.1''
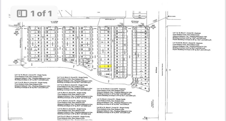
: West Park
4413 70 Street
MLS Addon
CAREMAXCA

Land For Sale

4413 70 Street, Camrose, Alberta T4V 2P7

0 Bedrooms
0 Bathrooms
0 Sqft
Visits : 95 in 20 days
$155,800
Listing ID #A2016882
Basic Details
Property Type : Land
Property Sub Type : Residential Land
Listing Type : For Sale
Listing ID : A2016882
Price : $155,800
Bedrooms : 0
Bathrooms : 0
Half Bathrooms : 0
Square Footage : 0 Sqft
Year Built : 0
Lot Area : 0.10 Acre
Status : Active
Days On Market : 1167
Agent info
Contact Agent